收藏五级飓风Narelle逼近昆州, 风速超250km/h引发最高警报!
据3月19日报道,飓风Narelle可能成为十多年来袭击昆州远北的最强风暴,其5级强度风速将超过每小时250公里。军方已进入待命状态,并部署了额外警力和救护人员。
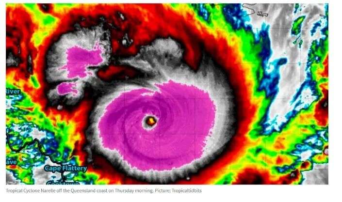
Narelle已增强至5级系统,风速高达每小时285公里,并可能于周五上午在Coen附近登陆。Coen是Cape York Peninsula上一个仅有300人口的小镇。

高级气象学家Christie Johnson表示,当飓风于周五上午在Lockhart River和Cooktown之间登陆时,很可能仍将是5级强度。"从那里开始,这个强热带飓风将继续向西移动并减弱,到周五晚上穿越Cape York Peninsula西海岸时,可能降级为2级系统。"
当Narelle登陆时,其中心附近可能观测到超过每小时250公里的极具破坏性的阵风。周四晚上,Lockhart River和Cape Flattery之间可能出现高达每小时160公里的阵风,而从周四傍晚起,Lockhart River到Cooktown地区可能遭遇每小时120公里的阵风。

Narelle可能在周五为Coen带来高达300毫米的降雨量,周六再降200毫米。Cairns、Aurukun、Innisfail和Lockhart River预计周五降雨量将超过200毫米,除Aurukun外所有地区周六降雨量略低于200毫米。尽管强度略有下调,但Narelle仍可能给Lockhart River和Cape Tribulation之间的沿海地区带来破坏性阵风。
昆州州长David Crisafulli将即将来临的飓风定性为严峻形势,并警告采取行动的时间窗口正在关闭。当局周四上午警告称,随着Laura River水位迅速上涨,Cooktown和Coen之间的道路即将被切断,预计将关闭一段时间。

Crisafulli敦促飓风路径上的居民做好最后防范。"这个地区的人们知道在强降雨、大风和热带飓风来临时该怎么做,但这可能是许多人记忆中所见过的最大规模的天气系统,这就是为什么我们要请大家按照我们所说的做好准备。"
疏散工作已经开始,包括将四名人员从Port Stewart转移到Cooktown。更多人员已从豪华岛度假胜地Lizard Island撤离。Crisafulli表示,已鼓励较小社区的当地居民疏散到有避难所的地区,周三很可能是离开的最后一天。

Cook Shire市长Robyn Holmes表示,居民需要完成准备工作。"要求居民固定好房屋和财产,清理院子里松散的杂物,并确保应急包和预案准备就绪,"她说。居民应在浴缸和容器中储存水,因为当地供水将关闭以保护基础设施。"对人们来说,最安全的选择是在某个安全的地方就地避难,最好是与家人和朋友在一起,"她说。
昆州灾难协调官Chris Stream表示,昆州已经很长时间没有见过如此强度的飓风了。"考虑到预计是5级强度登陆,我们不应低估可能造成的生命损失,"他说。
本文为转载发布,仅代表原作者或原平台态度,不代表我方观点。澳洲印象仅提供信息发布平台,文章或有适当删改。对转载有异议和删稿要求的原著方,可联络 [email protected]




















你需要登录后才能评论 登录