收藏回国紧急提醒!所有飞香港航线停飞!近千架航班取消,超市全部抢空
超级台风逼近香港,多家航空紧急宣布,停飞香港!
随着今年超强台风“桦加沙”直逼中国东南沿海,相关地区已全面进入备战状态。
超市出现抢购潮,生活物资被抢购一空;多地学校宣布停课,确保学生安全;海上作业人员提前撤离至安全地带。

航空运输业同样受到严重冲击,澳洲航空(Qantas)紧急宣布暂停所有往返香港的航班,停飞时间持续36小时!
香港不仅是亚洲关键的航空中转站,也是众多前往欧洲旅客的重要门户,此次若长时间关闭势必引发广泛的航班中断和旅客滞留。

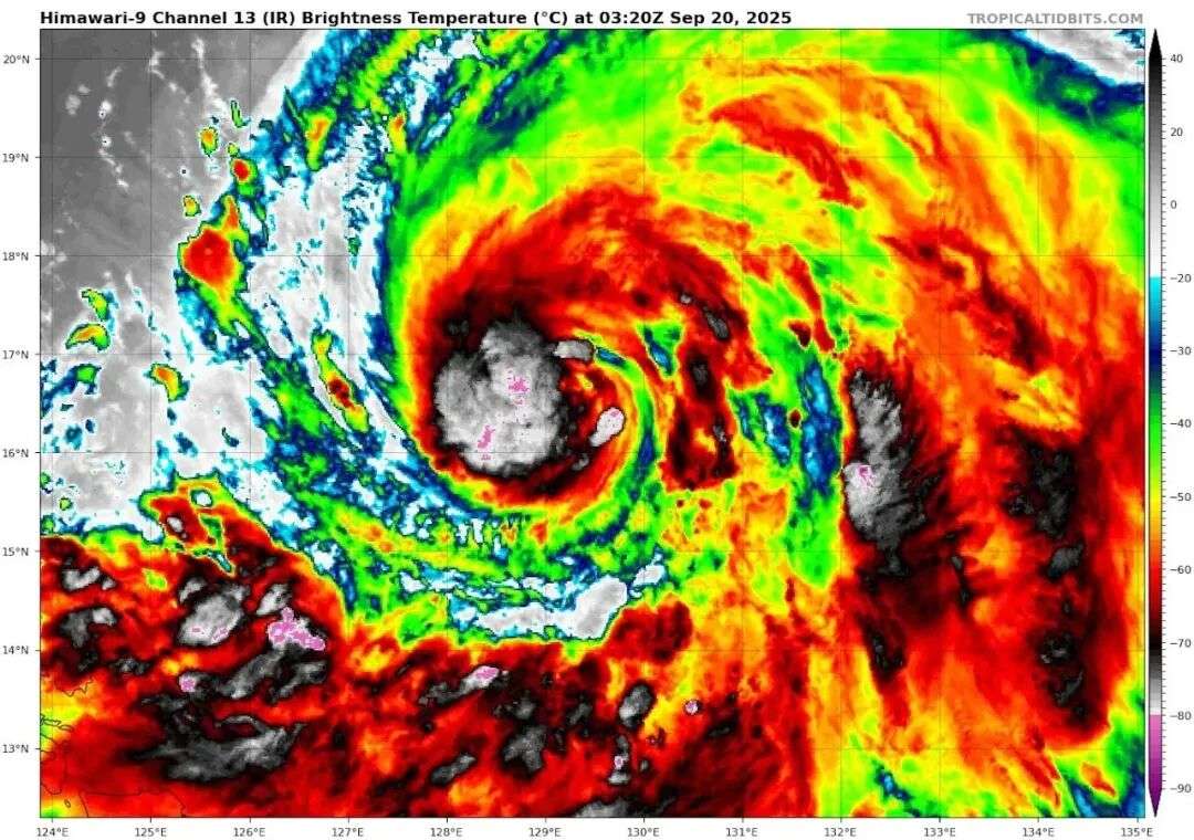
但此次危机的源头“桦加沙”台风,威力不容小觑。
其在22日袭击菲律宾北部时,曾带来高达每小时295公里的惊人风速,迫使10,000多名居民撤离。

这座巨大的风暴正向西移动,预计至少将持续至24日停留在南海区域,期间将途径中国台湾南部和中国香港南部,最终在中国大陆登陆。
尽管香港机场方面表示预计会保持开放状态,但当局警告,23日晚些时候的航班将显著减少,而23日的大部分航班运营都将受到严重影响。

香港航空公司国泰航空迅速采取行动。
该公司宣布,原定于23日下午6点后起飞及抵达香港的客运航班均已暂停,预计航班取消数量将超过500架次。
国泰航空同时给出了初步的恢复时间表,表示预计航班将从25日清晨开始逐步恢复运营。
其他香港航空公司也纷纷发布了航班中断预警。
其中,廉价航空香港快运航空报告称,从23日到25日期间,已有超过100个航班被取消。

除了对航空业的直接冲击,“桦加沙”也将对中国国内更广泛区域的交通、生活及安全构成威胁。
“桦加沙”预计为中国大陆沿海地区带来暴雨和强风天气,广东、广西、海南多地将会持续下起大到暴雨,局部地区大暴雨,强风雨天气将持续到26日。
目前香港澳门地区都已确认所有学校未来两天都将停课。
香港、广州、珠海、深圳等多地居民也开始提前囤积物资,超市货架空空如也,被一抢而空。

香港多位居民在社交媒体上发布帖文称,当地超市的蔬菜、鸡蛋和面包区域几乎被抢购一空,货架空空如也,场景“如同被洗劫”,去晚了什么都买不到。





广东一名居民起初对“抢菜”说法不以为然,但下班后亲眼目睹商场内蔬菜区连菜叶子都不剩,鲜肉区同样售罄,才意识到物资紧张的现实。




而随着抢购潮的持续,市场价格也随之产生波动。
香港居民晒出的超市图片显示,一根苦瓜售价达28.3港元,一份生菜23.8港元,猪肉更是高达87.2港元。



珠海也有网友发现,一颗普通包菜标价21.1元人民币。

不过有意思的是,在普遍的抢购潮中,仍有某些商品意外遭到冷遇,网友调侃“超市最难吃的食物被筛出来了”。
例如,深圳盒马超市的货架上,一款被普遍认为“难吃”的甜品无人问津;


广东多家超市的辣椒、鸡胸肉库存充足,辣味泡面也成为“滞销品”。






不过面对社交媒体上关于饮食偏好的轻松调侃,即将到来的极端天气才是真正需要严肃应对的现实。
根据央视新闻最新报道,中央气象台今晨继续发布台风橙色预警。
目前,今年第18号台风“桦加沙”维持超强台风级别已持续超过40个小时,已发展成为今年全球范围内的最强台风。
对于来势汹汹的台风,相关部门发出重要提醒:建议民众密切关注预警预报信息,提前做好防范措施。
具体包括移除阳台杂物以防高空坠物;紧闭门窗并可用胶带以米字型对窗户进行加固;适量储备饮用水、方便食品及蜡烛手电等应急物资;尽量避免外出,若必须外出需避开临时搭建物。
随着“桦加沙”的持续逼近,各方已经严阵以待,在此提醒民众,尽量留在室内,确保人身安全!
本文为转载发布,仅代表原作者或原平台态度,不代表我方观点。澳洲印象仅提供信息发布平台,文章或有适当删改。对转载有异议和删稿要求的原著方,可联络 [email protected]




















你需要登录后才能评论 登录